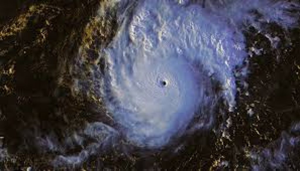
Super Typhoon Goni slammed into the Philippines with authorities warning of “catastrophic” conditions in the region expected to receive the hardest hit, where nearly a million people have been evacuated.
Daily Current Affairs Quiz 2020
Key-Points
The strongest typhoon of the year so far made landfall on Catanduanes Island with maximum sustained wind speeds of 225 kilometres (140 miles) per hour.
Goni, which intensified into a “super” typhoon as it neared the Philippines — comes a week after Typhoon Molave hit the same region of the natural disaster-prone archipelago.
Since 2009 the Hong Kong Observatory has divided typhoons into three different classifications: typhoon, severe typhoon and super typhoon.
A typhoon has wind speed of 64–79 knots (73–91 mph; 118–149 km/h), a severe typhoon has winds of at least 80 knots (92 mph; 150 km/h), and a super typhoon has winds of at least 100 knots (120 mph; 190 km/h).
